Detection of coating defects in pipelines using in-line inspection tools
Jul 12, 2006
The following article investigates the current possibilities for the in-line inspection of pipeline coating. Due to its different accessibility internal coating should be distinguished from external coating. With the existing methods of in-line inspection some information on the condition of specific types of coating can be obtained. It is discussed which current inspection methods are able to deliver and how minor changes would improve the value of the information. For in-line inspection tools internal coating is easier to detect than external coating. Sample measurements are presented for testing of internal and external coating using intelligent ultrasonic inspection tools.
While the material of choice for most high pressure pipelines is steel, it is the polymer coating that renders steel pipelines competitive against other materials. Internal coating and especially external coating of steel line pipe is vital to ensure the long term integrity of the pipeline. While the pipeline steel has been inspected for defects for a long time, the testing of the coating has so far been limited to indirect methods, which rather test its influence on the CP system of the pipeline, than its material properties.
For the in service inspection of the pipe steel intelligent pigs have evolved into the method that most operators rely on. Nowadays the steel material is inspected for metal loss type flaws as well as crack-like flaws. Mainly magnetic flux leakage (MFL) tools and ultrasonic (UT) inspection1) are used. EMAT (Electromagnetic Acoustic Transducers) inspection technology is certainly an emerging inspection method.
Quality may be limited due to disbondment, lack of full coverage or insufficient thickness. Also excessive thickness, whilst being a waste of valuable material, leads to problems for other inspection methods. As will be shown, ultrasonic intelligent pigs are capable of detecting most of these flaws. In some cases this can even be done in conjunction with a regular inspection of the steel wall.
These coating faults can be detected with close interval potential surveys (CIPS) or other means [1]. With many factors interfering with the CIPS results, a direct measurement of the coating is desirable. Naturally it is difficult for intelligent pigs to do any measurement through the steel layer. Some tests with ultrasonic inspection tools will be presented that show encouraging results.
Traditional ultrasonic wall thickness measurement of steel pipelines employs a pulse-echo method. Short pulses of ultrasonic waves are emitted from a piezoelectric transducer. The reflected echo is received and recorded. The time-offlight information is used to recalculate the thickness of the pipe wall. Reflection takes place at any interface, where the acoustic impedance changes. The acoustic impedance Z is a material specific parameter that describes the propagation of ultrasonic waves. It mainly depends on the speed of sound in the medium. An interface between steel and air or gas leads to a much higher reflection as an interface between steel and a liquid or a polymer. The reflection factor for materials with impedances Z1 and Z2 is given by
in analogy to the reflection of electromagnetic waves at material interfaces of refractive index. For this reason the ultrasonic inspection tools require a liquid couplant. The reflection of the sound waves at the interface gas/air is so powerful that subsequent echos are drowned out.
For testing the internal coating usual inspection tool settings would either calculate a wall thickness of internal coating plus steel in case of thin internal coating or of thickness of the coating alone in case of thick internal coating. In case of very thin internal coating like factory applied coating for gas pipelines a subsequent distinction of coating and steel is not possible.
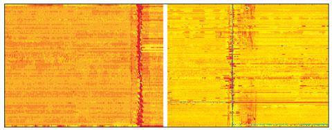
The B-Scan below is a reduced BScan which shows the calculated total wall thickness using the speed of sound in steel. The dotted red line is the steel wall thickness as measured in the uncoated part. The blue line shows the contour of the coating. Note that for all figures the thickness for the coating would have to be corrected for the different speed of sound in epoxy. Since this coating is insitu applied an even thickness is not expected.
The B-Scan of Figure 4 shows the thickness of the coating. The profile is much better visible as in Figure 3. The thickness of the coating varies from zero to about 3.5 mm.
The obtain information on the external coating is much more difficult, because any measurement using intelligent pigs needs to measure through a sheet of steel. However, for external coating the question is not so much about its existence or its thickness, but much more about the bonding to the steel.
Disbonded coating may results in bare pipe being exposed to the corrosive environment of the soil. Different aereation of the exposed steel may lead to corrosion under the condition that the pipe-to-soil potential drops below the critical value. As in-line inspection with intelligent pigs has shown these conditions exist in buried pipeline systems and some control of the prevention of corrosion is required. Reliable detection of disbonded coating would thus be a great step forward in integrity surveillance.
As shown in Figure 1 the effect should be larger for those echos that have encountered several reflections at the rear wall, i.e. the third of forth rear wall echo. Thus the amplitude of this signal is examined for areas, which are known to have a specific change in sound reflectivity. A test was performed in a trial inspection run on a bare pipe. A defined part was externally coated with an epoxy resin. By plotting the amplitude of the third rear wall echo it was attempted to detect this area. The set-up is shown in the left part of Figure 6.
To the right side of the flange a card-board template defines a rectangular area, where the resin is applied. The C-Scan2) is shown in the right part. The flange is seen to the left in blue color. In the same manner the spiral weld appears on the right. To the upper left the coated area is seen in a yellow color.
Especially downstream (flow is always from the left to the right) of the weld the interface is inhomogeneous. Whether this represents a problem would need to be verified in on-site testing. No corrosion has been found in any of the two areas. Still the type of coating and any possible deviations from the normal appearance could be detected.
Ultrasonic in-line inspection not only has prominent capabilities for the detection of metal loss type flaws, but offers unique possibilities to also test the coating on the internal side as well as on the external side of the steel pipe. While inspection of internal coating is already matured and can be applied any time, the inspection of external coating is still in its infancy. However, encouraging results have been obtained. To validate the method dig-out results would be required to stipulate the actual performance and specify what types on coating anomalies could be seen.
[1] Peabody's control of pipeline corrosion, A.W. Peabody, NACE International, second edition 2001
Korrosionsschutz erdverlegter Rohrleitungen, Kompetenzcenter Korrosionsschutz Ruhrgas AG, Vulkan Verlag Essen, 2001
[2] K. Reber, M. Beller, A. Barbian, Advances in the ultrasonic in-line inspection of pipelines, 3R international, 13/2004, pp. 53-57, Vulkan-Verlag
[3] New Inspection Technologies for Pipeline Integrity Management, Cornelis Bal, Proceedings to the Pipeline Rehabilitation and Maintenance Conference 2005, Manama Bahrain
[4] Optical in-line inspection tool for internal monitoring of pipelines, M. Beller, T. Jung, K. Vartdal, 3R International, Special Edition 13/2005, Vulkan-Verlag
More News and Articles
Aug 07, 2025
News
Kanalgipfel 2025: Netzweite operative Bedarfsplanung mittels individuellem Sanierungskosten- und Entscheidungsmodell
Die Entwässerungssysteme unserer Städte sind ein wesentlicher Bestandteil des kommunalen Anlagevermögens. Die große Zukunftsaufgabe, …
May 26, 2025
News
Kanalgipfel 2025: Smart Processing – mit KI-Technologien von der Kanalinspektion bis zur Sanierungsstrategie
Die Entwässerungssysteme unserer Städte sind ein wesentlicher Bestandteil des kommunalen Anlagevermögens. Die große Zukunftsaufgabe, …
May 12, 2025
News
Kanalgipfel 2025: Stand der Kanalsanierung in Deutschland – Eine kritische Betrachtung
Die Entwässerungssysteme unserer Städte sind ein wesentlicher Bestandteil des kommunalen Anlagevermögens. Die große Zukunftsaufgabe, vor der viele Kommunen …
Aug 28, 2024
News
ITpipes Secures $20M to Transform Water Infrastructure Management
ITpipes announced it has secured $20 million in equity financing from Trilogy Search Partners and Miramar Equity Partners.
Known for its trusted and user-friendly platform, ITpipes …
Aug 26, 2024
News
Professor Dr.-Ing. Dietrich Stein
With deep sadness we announce the loss of our founder and partner Prof Dr Dietrich Stein at the age of 85.
Engineers around the globe are thankful for his dedication to the inventions in the fields of sewers, …
Aug 26, 2024
News
PPI Releases New Installation Guide for PE4710 Pipe
PPI’s MAB-11-2024 Covers HDPE Water Pipelines Up to 60-in. Diameter and 10,000-ft Long Pulls
Developed by the Municipal Advisory Board (MAB) – and published with the help of the members of the …
Aug 23, 2024
News
Faster wide-scale leak detection now within reach
Mass deployment of connected leak loggers is being made possible by the latest technology, writes Tony Gwynne, global leakage solutions director, Ovarro
Water companies in England and Wales are …
Aug 21, 2024
News
Kraken awakens customer service potential in water
The innovative customer service platform Kraken has made a successful transfer from energy to water. Ahead of their presentation at UKWIR’s annual conference, Portsmouth Water chief executive …
Aug 19, 2024
News
Predicting the toxicity of chemicals with AI
Researchers at Eawag and the Swiss Data Science Center have trained AI algorithms with a comprehensive ecotoxicological dataset. Now their machine learning models can predict how toxic chemicals are …
Aug 16, 2024
News
Goodbye water loss: Trenchless pipe renewal in Brazil
Pipe renewal in Brazil
How do you stop water loss through leaks in old pipe systems without major environmental impacts and restrictions? The answer: with trenchless technology, or more precisely …
Aug 14, 2024
Article
Impact of high-temperature heat storage on groundwater
In a recently launched project, the aquatic research institute Eawag is investigating how the use of borehole thermal energy storage (BTES) affects the surrounding soil, the groundwater …
Aug 12, 2024
News
Watercare completes East Coast Bays sewer link
Watercare has successfully finished the final connection on the East Coast Bays link sewer at Windsor Park in New Zealand.
Much of the East Coast Bays sewer link was installed using horizontal directional …
Contact
Dr.-Ing. Konrad Reber
Stutensee, Germany
Phone:
+49 (0)7244 7415 818
